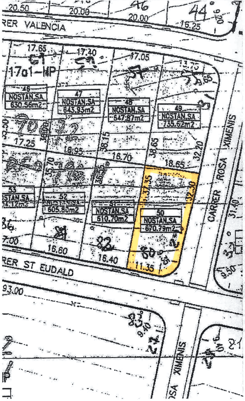
Terreny a Carrer Sant Eudald nº 80, Begues
En venda
199.650€ IVA INCLÒS
Preu
Terreny
Categoria
19/2/25
Data de publicació
Informació de la propietat

Dimensió
670m²
Descobreix aquesta parcel·la de 670 m² situada al Carrer Sant Eudald nº 80 a Begues, un entorn natural privilegiat ideal per fer realitat el teu projecte de vida. Ubicada a la urbanització del Mas Pasqual, ofereix tranquil·litat, privacitat i un espai molt assolellat durant tot el dia, sense renunciar als serveis essencials i a una bona comunicació amb Barcelona.
Aquest solar és perfecte per construir una llar a mida, amb una bona orientació (façana sud-est) adaptada a les teves necessitats i estil de vida.
Preu: 165.000 € + 21% IVA = 199.650€
Per a més informació trucar al: 606 946 022
Vols programar una visita?
Registra't al formulari i contactarem amb tu el més aviat possible.
Ara estàs veient



