Terreny a Carrer d'en Tan nº 17, Begues
En venda
181.500€ IVA INCLÒS
Preu
Terreny
Categoria
19/2/25
Data de publicació
Informació de la propietat

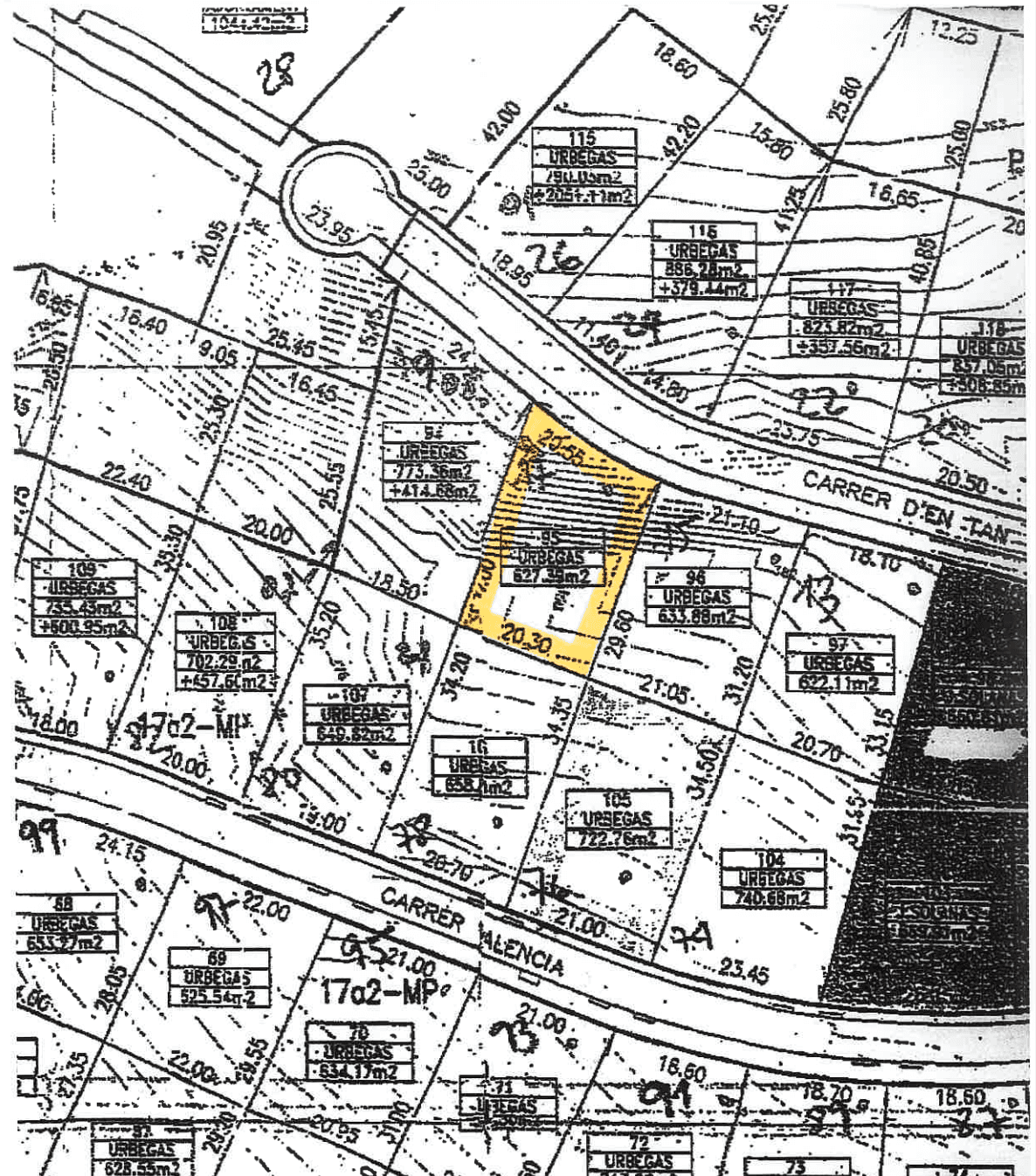
Dimensió
627m²
Descobreix aquesta magnífica parcel·la de 627 m² situada al Carrer d'en Tan nº 17 a Begues, un entorn natural privilegiat ideal per fer realitat el teu projecte de vida. Amb una ubicació immillorable, ofereix tranquil·litat, privacitat i connexió amb la natura, sense renunciar als serveis essencials i a una bona comunicació amb Barcelona. Ubicada a la urbanització del Mas Pasqual, ofereix tranquil·litat, privacitat i un espai molt assolellat durant tot el dia.
Aquest solar és perfecte per construir una llar a mida, assolellat durant tot el día, s'adaptada a les teves necessitats i estil de vida.
Preu: 150.000 € + 21% IVA = 181.500 €
Per a més informació trucar al: 606 946 022
Vols programar una visita?
Registra't al formulari i contactarem amb tu el més aviat possible.
Ara estàs veient



